Des cochenilles sur mon citronnier
Les cochenilles sont des insectes qui parasitent de nombreux types de plantes en suçant leur sève. Lors d’une forte attaque, cela affaiblit la plante parasitée, et dans le cas d’un citronnier, cela peut remettre en question la fructification.
Sur les agrumes en général et le citronnier en particulier, ce sont des cochenilles à carapace et des cochenilles farineuses qui sont la cause des attaques les plus sévères.
Notre ami le jardinier a beau être vigilent, cette saison encore, il vient de découvrir des cochenilles à carapace sur son citronnier.
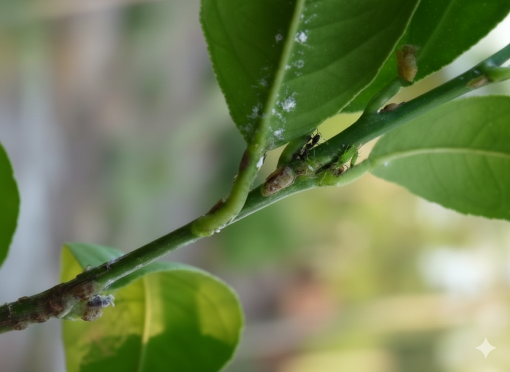
Le citronnier cultivé en pot qui est attaqué, présente des spécimens de cochenilles à carapace sur le revers de ses feuilles ainsi que sur ses tiges.
On les observe d’ailleurs facilement sur cette photo.
Mais comment détecter ces bestioles ?

Le jardinier qui est un fin observateur, a rapidement pu identifier les symptômes de cette attaque de cochenilles.
Ce sont deux symptômes particuliers qui sont identifiables sur son citronnier.
Tout d’abord, notre homme a observé un jaunissement diffus du feuillage, qui est souvent significatif d’une attaque de parasites.
Et puis sous le revers des feuilles, ce sont des filaments blancs qu’il a détectés.
Enfin, en se rapprochant de sa plante, il a découvert les carapaces (que l’on appelle également boucliers) des cochenilles accrochées sur les branches ainsi qu’au revers des feuilles.


Deux autres indices peuvent alerter le jardinier en cas d’attaque et le jardinier en est bien conscient.
Le premier, c’est la présence de fourmis qui ont la fâcheuse habitude de les « cultiver » ou plutôt de les protéger, car elles se nourrissent du miellat que les cochenilles sécrètent.
Le dernier symptôme et surtout gros inconvénient d’une attaque de cochenilles est dû justement à cette sécrétion de miellat.
Un voile noir causé par le développement de champignons, se forme sur le feuillage, ce qui à terme, peut empêcher les feuilles de capter la lumière et donc de bloquer la photosynthèse.
Ce voile s’appelle la fumagine.

On a souvent tendance à vouloir traiter chimiquement (à la bouillie bordelaise notamment) cette fumagine, car elle donne un aspect inesthétique et parce que l’on pense que c’est un parasite de la plante.
En fait, il faut avant tout lutter contre les vecteurs de la fumagine, autrement dit, les cochenilles.
Quelle lutte contre les cochenilles ?
Pour lutter contre les cochenilles, le jardinier dispose de plusieurs solutions.
Dans un premier temps, il doit observer régulièrement ses plantes afin de détecter le plus tôt possible la présence des intrus.
Cette fois, comme il n’y en avait pas beaucoup, il lui a suffit de décoller les boucliers avec l’ongle.
Dans le cas d’une attaque conséquente et sur des plantes plus volumineuses, il peut confectionner un mélange insecticide doux.
Il lui suffit de diluer du savon noir (1 cuillère à café), une huile végétale (1 cuillère à café) et de l’alcool à brûler ou à 70° (1 cuillère à café), avec 1 litre d’eau et à le pulvériser sur les parasites.
Il peut également appliquer un huile de paraffine, qui s’utilise surtout en traitement d’hiver, contre les formes hivernantes (larves et oeufs).
Et pour le feuillage noircit, on fait quoi ?
Pour ce qui est du feuillage noircit, le jardinier pourra le nettoyer avec un chiffon humide.
Si la plante était trop volumineuse, il pourrait doucher le citronnier tout en sachant qu’avec le temps, la pluie nettoiera naturellement les feuilles.
Savez-vous qu’un autre parasite s’attaque régulièrement aux agrumes ?
Il s’agit de la mineuse.
Pour contribuer à faire vivre ce blog et bien sûr, échanger avec la communauté, n’hésitez pas à déposer un commentaire ou à poser vos questions, je ne manquerai pas de vous répondre.
